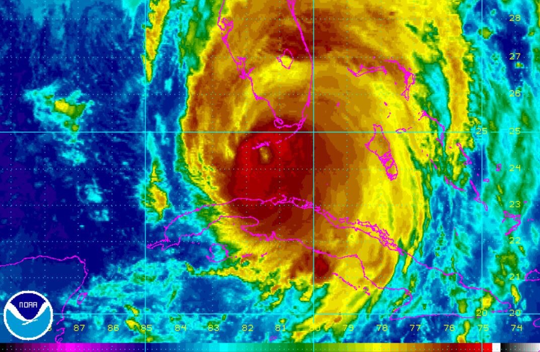
Poderoso huracán Irma toca tierra en Florida Publicado en septiembre 10, 2017 por staff en Trending Topics // 0 Comentarios Miami.- El poderoso huracán Irma tocó hoy tierra en la parte baja de Los Cayos de Florida como categoría 4 con vientos máximos sostenidos de 130 kilómetros por hora (km/h). Comparte esto: Compartir en X (Se abre en una ventana nueva) X Comparte en Facebook (Se abre en una ventana nueva) Facebook Más Compartir en LinkedIn (Se abre en una ventana nueva) LinkedIn Enviar un enlace a un amigo por correo electrónico (Se abre en una ventana nueva) Correo electrónico Imprimir (Se abre en una ventana nueva) Imprimir Me gusta Cargando... EUAFloridaHuracán IrmaKey West
Deja un comentario